Month: October 2025

‘Poor’ insulation that left houses mouldy needs wider investigation, government told
Homeowners who say that botched insulation under government schemes left them living in mouldy conditions are calling for an investigation into the problem to be widened. One woman has told the BBC that damage from works to her home in 2013 has left her bedroom too damp to sleep in, and may be causing her…

These Addams Family Movie Secrets Deserve Double Snaps
The Addams Family and Addams Family Values have endured as Halloween classics in the wake of some truly scary production issues and casting shake-ups. “They’re creepy and they’re kooky, mysterious and spooky, they’re all together ooky…” Which was fine for TV. But the members of the big-screen Addams family do what they wanna do, say what…

Spider Web Patterns May Help Arachnids Sense Vibrations from Prey
Spooky Web Patterns May Help Spiders Sense Prey Researchers simulated the effects that different web decorations had on vibrations, adding fresh insight to a decades-old debate about the function of these structures By Andrea Tamayo edited by Sarah Lewin Frasier Spiders such as this Argiope bruennichi sometimes adorn webs with zigzagging stabilimenta. Join Our Community…

‘They killed civilians in their beds’: chaos and brutality reign after fall of El Fasher
Thousands have fled the Sudanese city in terror with stories of the Rapid Support Forces attacking and killing civilians Hundreds reportedly killed at Sudanese hospital as evidence of RSF atrocities mounts Nawal Khalil had been volunteering as a nurse for three years at El Fasher South hospital when the Sudanese city was captured on Sunday…

Trump rates meeting with China’s Xi ’12 out of 10′, lowers tariffs
Deepa Shivaram GYEONGJU, South Korea– President Trump said he and Chinese leader Xi Jinping “agreed to almost everything” in their nearly two-hour meeting in South Korea, which Trump said was “friendly.” It was Trump’s last event after a week of summits, trade talks and other diplomatic events in the Indo-Pacific. On the flight back to…

Starmer rules out investigation as Reeves apologises for breaking housing rules
In reply, the prime minister said he was happy the “matter can be drawn to a close” after consulting his independent ethics adviser, who has decided not to launch an investigation. The Conservatives have called for an investigation and for Reeves to be sacked. The exchange of letters between the PM and Reeves revealed they…

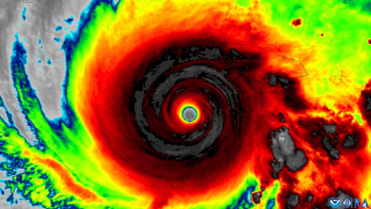
Does Hurricane Melissa Show It’s Time for a Category 6 Designation?
Is It Time to Classify Hurricanes as Category 6? Hurricane Melissa’s powerful winds and drenching rains devastated Jamaica. But is its wrath a sign that we need a new designation for monster storms? By Meghan Bartels edited by Andrea Thompson Hurricane Melissa became one of the strongest hurricanes ever recorded in the Atlantic Ocean on…

Kourtney Kardashian Breaks Down Khloe and Rob’s “Incestual” Bond
Kourtney Kardashian detailed the varying bonds her sisters have with Rob Kardashian, quipping that Khloe Kardashian has an “incestual” one with their brother. Kourtney Kardashian is pooshing back the curtains on her family’s dynamic. As her notoriously private brother Rob Kardashian made a rare appearance on The Kardashians, the Poosh founder detailed how she, Khloe…

Hurricane Melissa hits Cuba after turning Jamaica into ‘disaster area’
Most intense tropical cyclone to hit Jamaica in nearly two centuries leaves trail of devastation in its wake Hurricane Melissa – live updates Hurricane Melissa has torn through the Caribbean, slamming into Cuba while leaving parts of neighbouring Jamaica broken and reeling from ferocious winds and extreme rainfall. The effects of the colossal hurricane were…

Russia’s Burevestnik Nuclear-Powered Missile Is a Very Bad Idea
Here’s How a Nuclear-Powered Cruise Missile Works Russian leader Vladimir Putin claimed his nation conducted a successful flight of a nuclear-powered cruise missile. Here’s how that missile might work By Dan Vergano edited by Lee Billings Russian president Vladimir Putin (left) speaks with Valery Gerasimov of the Russian Armed Forces on October 26, 2025. Mysteries…

Afghan man charged after dog walker killed in London triple stabbing
A 22-year-old man has been charged with murder and attempted murder following a triple stabbing in Uxbridge. Afghan national Safi Dawood, of Midhurst Gardens, Uxbridge, was charged with murdering Wayne Broadhurst, a 49-year-old man who was walking his dog on the street. Police were called to reports that three people had been stabbed on Monday…

Andy Cohen Details Getting “So Physical” With Pal John Mayer
Andy Cohen shared that while he and John Mayer do not have a romantic relationship, he did recently find himself getting very physical with the Grammy winner while the two had dinner. Andy Cohen has to watch what happens when he’s out with John Mayer. The Watch What Happens Live host revealed that while he…

Hundreds reportedly killed at Sudanese hospital as evidence of RSF atrocities mounts
Rapid Support Forces, which claimed control of El Fasher on Sunday, reportedly killed at least 460 people ‘in cold blood’ Sudan’s Rapid Support Forces killed hundreds of patients and staff inside a hospital in El Fasher, according to the World Health Organization and the Sudan Doctors Network, after the paramilitary group claimed control of the…

Review – Batman and Robin: Year One #12 – The Guardians of Gotham
Ray: It’s the first of two issues concluding epic miniseries telling tales of Batman and Robin’s early years this month, and this one has the edge of one artist through the entire run – the brilliant Chris Samnee. Over the run, we’ve seen Bruce struggle to adjust to being a father, Dick battling with his…

‘A colony of the US’: Argentinians contemplate future after Trump-backed Milei coasts to victory
Big win leaves many wondering if result reflects genuine support for president or corrosive US influence Opposition posters scattered across Buenos Aires before Sunday’s midterms showed president Javier Milei’s name plastered over a US flag, in a bid to tap into anti-American sentiment over Donald Trump’s alleged interference in Argentina’s election. Days before the vote,…

White House fires entire commission that reviews designs for federal buildings
Elizabeth Blair The White House has fired six members of the U.S. Commission of Fine Arts, the independent federal agency that advises the president and Congress on design plans for monuments, memorials, coins and federal buildings. The seven member commission is made up of experts in architecture, art, urban and landscape design. Since its creation…

You Won’t Believe Dictionary.com’s Word of the Year—But Your Kids Will
Dictionary.com announced the 2025 Word of the Year as “67” the popular phrase that has send parents and teachers alike into a spiral. Dictionary.com’s word of the year will leave you feeling, well…67. Indeed, the online dictionary announced Oct. 29 that 2025’s Word of the Year title has been claimed by “67”—pronounced six-seven as opposed to sixty-seven—the…

Migrant sex offender given £500 after threat to disrupt deportation
A migrant sex offender mistakenly released from prison was given a £500 payment after threatening to disrupt his deportation from the UK to Ethiopia. Hadush Kebatu was jailed after sexually assaulting a 14-year-old girl and a woman while living in an asylum hotel in Epping, Essex, but was mistakenly freed by prison staff on Friday.…

The Neuroscience behind the ‘Parenting Paradox’ of Happiness
The Neuroscience behind the ‘Parenting Paradox’ of Happiness Separate brain processes cope with moment-to-moment versus big-picture experiences, which helps explain how parenting both increases and decreases aspects of well-being By Anthony Vaccaro edited by Daisy Yuhas Deciding whether to have kids can be one of the most momentous decisions a person makes. Countless factors can…

These Stars’ Supernatural Experiences Will Give You the Chills
Do you believe in ghosts? With Halloween right around the corner, read what Ariana Grande, Jessica Chastain, Octavia Spencer, Vanessa Hudgens and more have shared about their spiritual encounters. Telling ghost stories is one thing. But starring in your own? That’s another. Over the years, several celebrities have shared their supernatural experiences. Take Jessica Chastain,…

Review – Superman: Red and Blue 2025 Special #1 – Colors of a Hero
“Priceless” by Dini and Andolfo finds Superman on a complex mission in deep space. Kara and Krypto have been arrested on a foreign planet for…antics, and the fine is a crystal only found on one planet and attached to peaceful but dangerous aliens. Superman needs to painlessly get the mineral without disrupting the aliens –…

Did Dark Matter Help Supersize the Universe?
Physicists Propose a Simpler, Hotter Origin for the Cosmos Theorists have found that a “warm” version of cosmic inflation is consistent with known physics, linking it to the hunt for dark matter By Stephanie Pappas edited by Lee Billings For a fraction of a second after the big bang occurred 13.8 billion years ago, most…

Trump says he’s confident of a deal ahead of Xi meeting
Anthony Kuhn GYEONGJU, SOUTH KOREA – President Trump on Wednesday confidently predicted striking a deal with China’s leader in a bilateral meeting on the sidelines of the Asia Pacific Economic Forum, following a period of trade tensions that have threatened to escalate. “I think we’re going have a deal, I think it will be a…

Jamaicans wake to devastation – floods, power cuts and crippled communications
The normal soundtrack that accompanies Jamaican life is silent this morning as many have woken to no electricity. About three-quarters of the island is without power and many parts of its western side are under water, with homes destroyed by strong winds after Hurricane Melissa tore across the island with catastrophic force. As wind and…

Kelsea Ballerini Shares Life Update “Brought to You by” Lexapro
One month after her breakup with Chase Stokes, Kelsea Ballerini posted several photos showcasing her life as of late, joking that the update was “brought to you by” the anti-depressant drug Lexapro. Kelsea Ballerini is putting her heart health first. One month after her breakup from Chase Stokes, the “Heartfirst” singer shared a series of…

‘Police failed to tell me about my partner’s violent past – he ended up strangling me’
Sarah’s boyfriend used to say things she did not think much of at the time. “I love it when you wear your hair up because I can see your neck,” he would say. But as time went on, his behaviour started to worry her. He did not like her leaving home, accused her of cheating,…

These doctors want to break the cycle of shame and blame in medicine
From By Charlotte Huff The distress that Will Bynum later recognized as shame settled over him nearly immediately. Bynum, then in his second year of residency training as a family medicine physician, was wrapping up a long shift when he was called into an emergency delivery. To save the baby’s life, he used a vacuum…

Did Astronomers Photograph UFOs Orbiting Earth in the 1950s?
UFOs Are Just One Explanation for Mysterious Patterns in Old Telescope Data New peer-reviewed research reporting strange lights in the pre-space-age sky is sparking curiosity and controversy By Jonathan O’Callaghan edited by Lee Billings For generations, UFO enthusiasts have longed for claims of aliens visiting Earth to be seriously investigated by scientists. Now they are…

These Red Light Therapy Tools Will Give Your Skin a Holiday Glow Up
Red light therapy devices boast major benefits. We rounded up 12 options to up your at-home beauty routine before you spend a ton of holiday face time with family and friends. There are tons of skincare products on the market that promise to fight aging, acne, and dull, uneven skin, but if you’re really looking…

US military kills 14 in attacks on vessels in the Pacific, according to Hegseth
US says one person survived latest strikes, having killed 51 people in attacks on at least 13 vessels in recent weeks US politics live – latest updates The US military killed 14 people and left one survivor in more strikes on alleged drug-trafficking boats in the eastern Pacific, the defense secretary, Pete Hegseth, said on…

The Science of How Hurricane Melissa Became So Extreme
How Hurricane Melissa Became One of the Most Intense Atlantic Storms on Record A nearly perfect alignment of factors has enabled Hurricane Melissa to become one of the most intense Atlantic storms ever recorded By Andrea Thompson edited by Clara Moskowitz On October 28 Hurricane Melissa became one of the strongest hurricanes ever known in…

Want to opt out of AI? State labeling laws might help
Martin Kaste Utah and California have passed laws requiring entities to disclose when they use AI. More states are considering similar legislation. Proponents say labels make it easier for people who don’t like AI to opt out of using it. “They just want to be able to know,” says Utah Department of Commerce executive director…

Israel strikes Gaza after accusing Hamas of ceasefire violations
Israel has carried out air strikes in Gaza, in response to what Israeli officials said were violations of the US-brokered ceasefire agreement. Defence Minister Israel Katz accused Hamas of attacking Israeli soldiers in Gaza on Tuesday, and breaching the terms on returning the bodies of deceased hostages. The Palestinian armed group claimed it had “no…

Mass killings reported in Sudanese city seized by paramilitary group
Rapid Support Forces accused of killing more than 2,000 unarmed civilians in El Fasher in recent days Reports of ethnically motivated mass killings and other atrocities are emerging from El Fasher after the paramilitary Rapid Support Forces took control of the city in Sudan’s western Darfur region over the weekend. Video released by local activists…

Why Hurricane Melissa is so dangerous
A very powerful hurricane is creeping towards Jamaica and is expected to be the strongest storm to hit the Caribbean island in modern history. Hurricane Melissa, now a Category 5 storm, is approaching the island’s southern coast with maximum sustained winds of 295km/h (185mph) – the strongest on Earth so far this year. Those speeds…

China’s Chang’e 6 Mission Found Rare Meteorite Fragments on Moon
Surprise Meteorite Debris Uncovered on Moon’s Far Side These rare samples, uncovered on the moon by China’s Chang’e 6 mission, might help to reveal secrets of how the solar system evolved By Jenna Ahart & Nature magazine Join Our Community of Science Lovers! Sifting through the first-ever rock samples collected from the far side of…

Mae Whitman Shares Rare Photo With Partner Carlos Valdes
Mae Whitman posted a photo with partner Carlos Valdes at a wedding, along with some photoshopped shots for fun, more than a year after welcoming their son Miles. Parenthood looks good on Mae Whitman and Carlos Valdes. While the actress and her partner—parents to son Miles, 14 months—keep much of their relationship private, she recently…

Prince Andrew hosted Epstein, Maxwell and Weinstein at Royal Lodge
Prince Andrew hosted Jeffrey Epstein, Ghislaine Maxwell and Harvey Weinstein at Royal Lodge, the prince’s private home in the grounds of Windsor Castle. The trio visited the Windsor mansion as part of his daughter Beatrice’s masked ball 18th birthday celebrations in 2006, two months after a US arrest warrant had been issued for Epstein for…

Justin Bieber Looks So Different Without Beard at World Series 2025
Two days after Justin Bieber revealed he shaved his beard off, the “Baby” singer put his clean-shaven look on full display while attending game three of the MLB World Series with wife Hailey Bieber. Fans of Justin Bieber‘s facial hair will have to settle for the ghost of that look. Two days after revealing he…

The Vibrofrost VFS001 is a Slushie Machine for the Entire Family
Slushie machines are very popular right now and there are many different models on the market and come in all different price ranges. I first saw one in action at a graduation party for a family friend and thought we needed one. However, my wife did not think we would get much use out of…

UK military equipment used by militia accused of genocide found in Sudan, UN told
Exclusive: two dossiers of material seen by the security council raise questions over export of British arms to the UAE, which has been accused of supplying weapons to paramilitary RSF group British military equipment has been found on battlefields in Sudan, used by the Rapid Support Forces (RSF), a paramilitary group accused of genocide, according…

America’s immigration crackdown is disrupting the global remittance market
Greg Rosalsky Earlier this year, the Trump administration shut down USAID and slashed spending on international aid and development. Development advocates worried — and continue to worry — that this will hurt the economies of developing nations and have deadly consequences for some of the poorest people on Earth. That story generated tons of headlines…

Military sites to house asylum seekers in bid to end hotel use
Hundreds of asylum seekers could be housed in military barracks as the government seeks to end the use of hotels. Discussions are underway over the use of two sites – one in Scotland, the other in the south of England – for accommodation for 900 men, as first reported in the Times. Prime Minister Sir…

Stack Overflow: 8 Books for October
I enjoy reading kid’s books a lot. It’s part of my job description, they are a constant reminder of how fun and encouraging things can be when read with the right words. And this list is such a parade of good illustrators, some very well-known, and others about to be! Let’s start with early readers:…

DWTS’ Jen Affleck Defends Partner Jan Ravnik From “Slander”
Dancing With the Stars‘ Jen Affleck reacted to “slander” of her partner Jan Ravnik, a dancer on Taylor Swift’s Eras Tour, after criticism from former pros Maksim Chmerkovskiy and Peta Murgatroyd. Jen Affleck is giving low scores to loud critics. After former Dancing With the Stars pros Maksim Chmerkovskiy and Peta Murgatroyd criticized Jan Ravnik’s casting…

Mosquitoes Found in Iceland for the First Time amid Climate Change
Mosquitoes Invade Iceland, Earth Darkens, and Bird Flu Returns Bird flu surges and a government shutdown collide, complicating efforts to track cases and protect flocks. By Rachel Feltman, Fonda Mwangi, Jeffery DelViscio & Alex Sugiura Rachel Feltman: Happy Monday, listeners! For Scientific American’s Science Quickly, I’m Rachel Feltman. You’re listening to our weekly science news…

Why Hurricane Melissa’s intensity and slow-moving speed are a recipe for disaster
Juliana Kim A powerful hurricane is barreling toward Jamaica with anticipation that it will be the strongest storm to hit the Caribbean island in modern history. Hurricane Melissa began rapidly intensifying over the weekend. It is expected to make landfall early Tuesday morning in Jamaica, threatening to trigger severe flooding and catastrophic landslides, according to…

World’s oldest serving head of state declared winner in Cameroon election
Paul Biya, 92, said to have won 53.66% of vote after volatile two weeks since election when opponent claimed victory Paul Biya, the world’s oldest serving head of state, has been declared the winner of Cameroon’s election, granting him an eighth term that could keep him in office until he is nearly 100. The country’s…

‘Betrayal at the Neibolt House: The Evil of Pennywise’ is a Great Expansion to ‘Betrayal at House on the Hill’
An ancient presence has stirred after 27 years and lurks once more in the shadows of the Neibolt House in the town of Derry, Maine. This savage shapeshifter delights in taking the form of Pennywise the Clown and other monsters–and it yearns to feed on our fear and feast on your flesh! As you and…

Chris Pratt, Katherine Schwarzenegger’s Son Is Growing Fast in New Pic
Chris Pratt and Katherine Schwarzenegger’s 11-month-old son Ford looked so big in new photos of him spending quality time with his mom. Chris Pratt‘s son is in an electric state of growth. The Guardians of the Galaxy star and his wife Katherne Schwarzenegger‘s 11-month-old son Ford looked so big in new photos of him spending…

Migrant sex offender released due to human error, Lammy tells MPs
An independent investigation has been launched after a migrant sex offender was mistakenly released from prison in what appears be “human error”, Justice Secretary David Lammy has said. Kebatu, who was set to be deported, was freed in error from HMP Chelmsford on Friday, prompting a 48-hour manhunt that ended with him being re-arrested in…

How Archaeology Is Reviving the Smell of History
Ancient Incense, Cosmetics and Mummies: Scientists Sniff Out the Scents of the Past How can reconstructing long-lost smells of ancient artifacts help us connect with the past? By Gayoung Lee edited by Andrea Thompson Analyzing remnants from incense burning can help shed more light on how people along the incense road (a trade network covering…

A Confederate statue toppled in Washington, D.C., in 2020 has been reinstalled
Anastasia Tsioulcas A statue of the Confederate general Albert Pike that was pulled down and set ablaze in Washington, D.C. in June 2020 during the Black Lives Matter movement has been renovated and reinstalled in Judiciary Square. The reinstallation on Saturday was a follow-through of an earlier National Park Service announcement that the federal government…

Jannik Sinner Reveals Relationship After Brooks Nader Dating Rumors
After Brooks Nader cheekily swerved around the question of whether she was dating Italian tennis player Jannik Sinner, he confirmed his relationship status at the 2025 Vienna Open. Jannik Sinner is in a relationship—but not with Brooks Nader. A month after the Love Thy Nader star swerved around speculation of whether she was dating the…

Dungeons & Dragons – Starter Set: Heroes of The Borderlands
For many, Dungeons & Dragons may seem like a insurmountable entry point to the world of RPGs, and, in many ways, especially without at least one seasoned veteran in your group, it isn’t necessarily an incorrect assumption. The all new Dungeons & Dragons – Starter Set: Heroes of The Borderlands aims to eliminate that hurdle…

Weather tracker: Jamaica braces for its most powerful hurricane as Melissa reaches category 5
Record-breaking hurricane expected to make landfall on Tuesday with 160mph winds, while New Zealand reels from storm damage Hurricane Melissa – follow latest updates live The Caribbean is bracing for Hurricane Melissa, one of the most powerful to ever strike the region. Melissa began as a cluster of thunderstorms off the coast of west Africa,…

Why Ozempic and Wegovy Don’t Cause Weight Loss for Everyone
People Who Don’t Lose Weight on Wegovy May Have Genetic Differences Scientists look to genetics to explain why GLP-1 drugs work for some people but not for others By Lori Youmshajekian edited by Lauren J. Young People taking popular new weight-loss drugs such as Wegovy and Zepbound often celebrate the number of pounds they shed…

Reform MP’s comments ‘ugly’ but intention was not racist, Farage says
Nigel Farage has said Reform MP Sarah Pochin did not intend to be racist when she complained about adverts being “full” of black and Asian people. It comes after Prime Minister Sir Keir Starmer branded the comments racist, with both Labour and the Liberal Democrats calling for Farage to suspend her from the parliamentary party.…

Ireland’s president-elect is a left-wing, anti-establishment figure who is outspoken on Gaza
By The Associated Press LONDON — Ireland’s president for the next seven years is an independent lawmaker who has long spoken in support of Palestinians and has been vocal about her distrust of European Union policies. Left-wing independent Catherine Connolly, 68, secured 63% of votes in a landslide election victory on Saturday, comfortably defeating her…

Home Office squandered billions on asylum hotels, MPs say
The Home Office has “squandered” billions of pounds of taxpayers’ money on asylum accommodation, according to a report by a committee of MPs. The Home Affairs Committee said “flawed contracts” and “incompetent delivery” left the department unable to cope with a surge in demand and it relied on hotels as “go-to solutions” instead of temporary…

Advances in Type 1 Diabetes Science and Tech
Type 1 Diabetes Science Is Having a Moment Living with type 1 diabetes today is leaps and bounds easier than it was decades ago. Things are only getting better By Jeanna Bryner Join Our Community of Science Lovers! This article is part of “Innovations In: Type 1 Diabetes,” an editorially independent special report that was…

Why public media giants NPR and CPB are fighting in court this week
David Folkenflik The chasm is widening between NPR and the Corporation for Public Broadcasting, the nonprofit that funneled federal dollars to public media until Congress killed that funding earlier this year. NPR’s legal team privately questioned the CPB’s longtime chief executive, Patricia Harrison, under oath earlier this month, according to the radio network’s legal filings,…

Grave fears for civilians after Sudanese paramilitary claims capture of El Fasher
RSF says it has seized control of army’s main base in Darfur, home to famine-stricken displacement camp Fears are growing for hundreds of thousands of civilians trapped in El Fasher after the paramilitary Rapid Support Forces said it had captured the city, which it has been besieging for more than a year in Sudan’s civil…

These Halloween Secrets Really Are Lurking Behind You
Take a chilling autumn stroll into the history of the Halloween franchise, which kicked off in 1978 with John Carpenter’s haunting original starring scream queen Jamie Lee Curtis. It’s hard to believe the Halloween saga ended for good with Halloween Ends. But Michael Myers is off the streets for now, Jamie Lee Curtis‘ Laurie Strode having finally…

Sister Wives’ Kody Brown Says Dating Is “Kissing Another Man’s Wife”
Kody Brown would like to talk about sex, baby. Specifically why he thinks his daughters shouldn’t be having it before marriage. The father of 18 gave his take on Sister Wives‘ Oct. 26 episode. Sure, Sister Wives patriarch Kody Brown once felt quite strongly that his love should be multiplied, not divided. His daughters’ affection,…

Javier Milei hails ‘tipping point’ as his far-right party wins Argentina’s midterm elections
The result falls short of giving Milei a congressional majority but has been widely described as surprising by Argentinian analysts The party of Argentina’s far-right president, Javier Milei, has won Sunday’s midterm elections after a campaign in which US president Donald Trump announced a $40bn bailout for the country and made continued aid conditional on…

A Cure for Type 1 Diabetes May be Closer Than You Think
A Cure for Type 1 Diabetes Seems Close, Thanks to New Drugs and Tech A new drug slows insulin-dependent diabetic deterioration and has sped up development of a complete remedy By Tara Haelle edited by Josh Fischman This article is part of “Innovations In: Type 1 Diabetes,” an editorially independent special report that was produced…

Inside Syria’s jail for IS suspects as officials say attacks by group are rising
In the complex mosaic of the new Syria, the old battle against the group calling itself Islamic State (IS) continues in the Kurdish-controlled north-east. It’s a conflict that has slipped from the headlines – with bigger wars elsewhere. But Kurdish counter-terrorism officials have told the BBC that IS cells in Syria are regrouping and increasing…

Trump raises tariffs on Canada by 10% in retaliation for anti-tariff TV ad
Donald Trump announced on Saturday that he will raise US tariffs on Canada by 10% in retaliation for an sponsored by the Ontario government, which has further strained one of the world’s largest trade partnerships. The statement, posted on the US president’s Truth Social account, came after several days of public disputes over the ad,…

Earth’s Falling Reflectivity Means the Planet Is Getting Darker—And Hotter
Earth Is Getting Darker, Which Could Accelerate Global Warming The planet’s brightness is dimming—changing rainfall, circulation and temperature By Ryan Green edited by Andrea Gawrylewski Join Our Community of Science Lovers! The view of Earth from space is famously familiar—bright blue ocean, swirling gyres of white clouds, touches of terrestrial green. The luminosity of this…

California euthanizes 4 gray wolves after ‘unprecedented’ surge in livestock kills
By Nathan Rott Gray wolves are slowly repopulating California after being extirpated from the state in the early 1900s. This wolf, known as OR93, pictured in 2021, was born in Oregon but traveled through California before being killed by a vehicle collision. After being wiped out in California for nearly a century, the gray wolf…

Diane von Fürstenberg Marks 50 Years With Husband After His Coming Out
Diane von Fürstenberg shared a loving tribute to her husband Barry Diller, who came out as gay earlier this year, as she marked the 50th anniversary of the day they fell in love. Diane von Fürstenberg’s decadeslong love story with Barry Diller continues to unfold. While the couple wed in 2001, their romantic history dates back…

Epping migrant sex offender will be deported ‘this week’, says Justice Secretary Lammy
A migrant who was mistakenly released from prison and then re-arrested will be deported “this week”, David Lammy has said. Hadush Kebatu was arrested in the Finsbury Park area of north London at 08:30 GMT on Sunday, bringing an end to a 48-hour manhunt that began after he was let go in error from HMP…

Kickstarter Tabletop Alert: Time Loop Shenanigans in ‘Chronofiends!!’
The research station is stuck in an ever-shrinking time loop—use your time-manipulating powers to accomplish your objectives before time runs out! Chronofiends!! (yes, the exclamation points are part of the title) is a cooperative time-loop game for 1 to 4 players, ages 13 and up, and takes about 90 minutes to play. It’s currently seeking…

US and China say trade deal drawing closer as Trump and Xi prepare for meeting
By The Associated Press KUALA LUMPUR, Malaysia — A trade deal between the United States and China is drawing closer, officials from the world’s two largest economies said Sunday as they reached an initial consensus for President Donald Trump and Chinese leader Xi Jinping to aim to finalize during their high-stakes meeting. Any agreement would…

Bijou Phillips and Danny Masterson’s Daughter Files to Change Name
Bijou Phillips filed to legally change the name of her and ex Danny Masterson’s 11-year-old daughter amid the That ’70s Show alum’s prison sentence, according to court documents obtained by E! News. Bijou Phillips is making a big move on behalf of her daughter. The Almost Famous star—who is mom to Fianna Francis Masterson, 11, with…

Reform MP’s comments about adverts ‘racist’, says Streeting
Health Secretary Wes Streeting has criticised Reform MP Sarah Pochin for what he called “racist” language after she complained about adverts being “full of black people, full of Asian people”. Speaking on Sunday with Laura Kuenssberg, Streeting claimed Pochin had only said sorry “because she’s been caught and called out”. BBC News has contacted Reform…

Do populists always crash the economy?
Argentina is counting the cost of its turn to Javier Milei. Politicians from Donald Trump to Giorgia Meloni and Nigel Farage will be closely watching what happens next “Cambio, cambio.” Under the blazing sun, dozens of money changers are hawking US dollars along Florida Street, a bustling pedestrian strip in Buenos Aires. Known as arbolitos…

NASA’s Bet on SpaceX’s Starship May Give Moon Race to China
NASA’s Moon Race Looks like a Losing Bet Former NASA officials warn that the U.S. looks poised to lose its self-declared race to beat China to the moon By Dan Vergano edited by Clara Moskowitz The Artemis I mission at NASA’s Kennedy Space Center on Aug. 22, 2022. Despite the Trump administration’s insistence that the…

Suspects arrested over theft of jewels at Louvre museum in Paris
Two suspects have been arrested over the theft of precious crown jewels from Paris’s Louvre museum, French media say. The Paris prosecutor’s office said one of the men had been taken into custody as he was preparing to take a flight from Charles de Gaulle Airport. Items worth €88m (£76m; $102m) were taken from the…

Shooting leaves 1 dead and 6 hurt at historically Black university’s homecoming fest in Pennsylvania
By The Associated Press LINCOLN UNIVERSITY, Pa. — One person was killed and six more were wounded in a shooting Saturday night at Pennsylvania’s Lincoln University, where gunfire erupted during outdoor festivities as students and alumni celebrated homecoming at the historically Black school. A person who had a firearm was detained, and officials are investigating…

What Medications Are Safe to Take While Pregnant? Studies Are Lacking
Why We Know So Little About What Medications Are Safe for Pregnancy Less than 1 percent of clinical trials include pregnant or breastfeeding people. Experts say that needs to change By Tanya Lewis edited by Megha Satyanarayana During the past few months, President Trump and his health secretary, Robert F. Kennedy, Jr., have made sweeping,…

No Tricks, Just the Treat of Revisiting Kardashian Halloween Costumes
Kim Kardashian, Khloe Kardashian and Kourtney Kardashian have left fans spellbound with their Halloween decorations. As followers wait to see their costumes, look back at what they’ve previously worn. The Kardashians aren’t going to ghost their fans when it comes to how they’re celebrating Halloween this year. Take Khloe Kardashian, for instance. The Good American…

Epping migrant sex offender last seen in Hackney on Friday, Met says
A migrant sex offender mistakenly released from an Essex prison was last seen in north London on Friday evening, according to the Metropolitan Police. Hadush Kebatu was spotted shortly before 20:00 on Friday in the Dalston area of Hackney, the Met Police said in a statement. CCTV footage also shows him at a library in…

US and Canada spar over ad of Reagan denouncing tariffs that led to derailed trade talks
Ontario premier says he plans to run ad featuring speech that sparked Trump’s ire again during World Series but campaign will end Monday After the US suspended all trade negotiations with Canada over a 1987 speech by Ronald Reagan denouncing tariffs that appeared to spark Donald Trump’s ire, the premier of Ontario said he planned…

Melissa expected to rapidly intensify into major hurricane in the Caribbean
Kristin Wright Hurricane Melissa is expected to rapidly intensify into a major hurricane on Sunday. According to the National Hurricane Center in Miami, the hurricane is likely to bring life-threatening and catastrophic flash flooding and landslides to parts of Jamaica and southern Hispaniola, which is made up of Haiti and the Dominican Republic. The category…

The Dangerous Data Gap in Pregnancy Drug Research
Why Pregnant People Are Left Out of Drug Safety Studies Despite the widespread use of medication during pregnancy, a lack of clinical research leaves patients and doctors navigating treatment with dangerously few data. By Rachel Feltman, Tanya Lewis, Fonda Mwangi & Alex Sugiura Rachel Feltman: For Scientific American’s Science Quickly, I’m Rachel Feltman. For decades…

Dylan Efron Reveals He Broke His Nose During DWTS Rehearsal
While practicing a new move during Dancing with the Stars rehearsals, Dylan Efron revealed partner Daniella Karagach broke his nose: “We’ll be back dancing tomorrow.” Break a leg? Er, something like that. Ahead of Dancing with the Stars’ Halloween week, Dylan Efron revealed he broke his nose during a rehearsal with partner Daniella Karagach. “We were…

US places sanctions on Colombian president over alleged failure to stop cartels
Treasury accuses Gustavo Petro of ‘allowing drug cartels to flourish’ as president attacks Trump’s ‘oppressive regime’ The US treasury department has announced sanctions on Colombian president Gustavo Petro, one of Donald Trump’s harshest international critics. “President Petro has allowed drug cartels to flourish and refused to stop this activity,” treasury secretary Scott Bessent wrote in…

June Lockhart, beloved mother figure from ‘Lassie’ and ‘Lost In Space,’ dies at 100
By The Associated Press LOS ANGELES — June Lockhart, who became a mother figure for a generation of television viewers whether at home in “Lassie” or up in the stratosphere in “Lost In Space,” has died. She was 100. Lockhart died Thursday of natural causes at her home in Santa Monica, family spokesman Lyle Gregory,…

Why Aren’t All Comets as Bright as Comet Lemmon?
The UniverseFridays Why Do Some Comets Dazzle While Others Fizzle? A comet’s brightness depends on how it’s made, how and when we see it, and even a bit of unpredictable luck By Phil Plait edited by Lee Billings Astrophotographer Brennan Gilmore captured this photo of Comet Lemmon on October 4, 2025 from central Virginia. Stay…

Met urges Epping migrant sex offender to hand himself in
The Metropolitan Police has issued a direct appeal to a migrant sex offender to hand himself in, after he was mistakenly released from a prison in Essex on Friday and travelled to east London. Hadush Kebatu was set free weeks after being jailed for sexually assaulting a 14-year-old girl and a woman in Epping, Essex,…



